Casa trilocale in vendita in Via della Chiesa di Marlia - Capannori Via della Chiesa di Marlia, Capannori

60.000 €

  • 130 m²
  • 3 locali

Informazioni e dettagli

Stato In vendita
Tipo di abitazione Casa
Prezzo 60.000 €
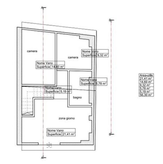
Area 130 m²
Prezzo al m² 461,53 €/m²
Locali 3
Paese Italia
Area Capannori
Zona/Frazione Nave-Sant'Angelo in Campo
Quartiere Marlia
Indirizzo Via della Chiesa di Marlia, Capannori

Caratteristiche principali

  • Giardino

Dettagli dell'abitazione

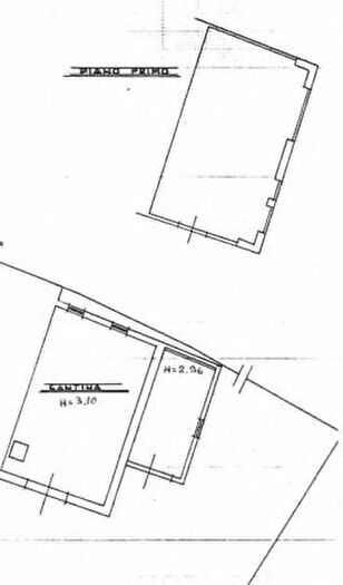
MARLIA_ RIF. V0789 A meno di un chilometro dal centro di Marlia e a breve distanza da tutti i servizi proponiamo in vendita capanna su 2 livelli da ristrutturare completamente. L'immobile è compost...

Calcolatrice di Mutuo Ipotecario

%